- Rathaus & Politik
- Leben & Wohnen
- Freizeit & Tourismus
Öffentliche Bekanntmachung
Bauleitplanung der Stadt Rotenburg a. d. Fulda;
Bebauungsplan Nr. 18 PV-Freiflächenanlage “In der Suckeloch“
Folgende Öffentliche Bekanntmachung der Stadt Rotenburg a. d. Fulda, veröffentlicht in der HNA am 10.12.2025, wird hiermit zur Kenntnis gegeben.
I. Die Stadtverordnetenversammlung der Stadt Rotenburg a. d. Fulda hat in ihrer Sitzung vom 06.Februar 2025 den Bebauungsplan Nr. 18 PV-Freiflächenanlage “In der Suckeloch“ der Stadt Rotenburg a. d. Fulda, Gemarkung Lispenhausen als Satzung beschlossen.
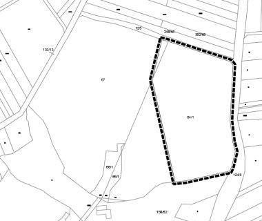
Geltungsbereich des Bebauungsplanes:
Gemarkung Lispenhausen, Flur 4, Flurstück Teil aus 64/1 und 67.

Geltungsbereich des Bebauungsplans
II. Es wird darauf hingewiesen, dass gem. § 215, Abs. 1, BauGB Verletzungen von Vorschriften unbeachtlich werden, wenn
- eine nach § 214, Abs. 1, Satz 1, Nr. 1 bis 3, BauGB beachtliche Verletzung der dort bezeichneten Verfahrens- und Formvorschriften,
- eine unter Berücksichtigung des § 214, Abs. 2, BauGB beachtliche Verletzung der Vorschriften über das Verhältnis des Bebauungsplanes und des Flächennutzungsplanes und
- nach § 214, Abs. 3, Satz 2, BauGB beachtliche Mängel des Abwägungsvorganges,
nicht innerhalb eines Jahres seit Bekanntgabe des Bebauungsplanes schriftlich gegenüber der Stadt Rotenburg a. d. Fulda unter Darlegung des die Verletzung begründeten Sachverhaltes geltend gemacht worden sind.
Vorstehendes gilt entsprechend, wenn Fehler nach § 214 Abs. 2 a BauGB beachtlich sind für Bebauungspläne, die nach § 13 a BauGB im beschleunigten Verfahren aufgestellt worden sind.
III. Der Bebauungsplan wird mit der Begründung, Umweltbericht und zusammenfassender Erklärung zu jedermanns Einsichtnahme bereitgehalten und kann während der Dienststunden der Stadtverwaltung im Rathaus der Kernstadt Rotenburg a. d. Fulda, Marktplatz 14 (Bauen und Liegenschaften, Zimmer Nr. 302) in der Zeit von montags bis mittwochs zwischen 09.00 Uhr und 16.30 Uhr, donnerstags zwischen 09.00 Uhr und 18.00 Uhr und freitags zwischen 07.00 Uhr und 12.00 Uhr nach vorheriger Terminabsprache eingesehen und über deren Inhalt Auskunft verlangt werden.
Diese öffentliche Bekanntmachung ergeht aufgrund § 10 Abs. 3 BauGB in Verbindung mit § 8 der Hauptsatzung der Stadt Rotenburg a. d. Fulda.
Mit dieser Bekanntmachung tritt der Bebauungsplan in Kraft.
Rotenburg a. d. Fulda, 05.12.2025
Der Magistrat
gez. Weber
Bürgermeister
