- Rathaus & Politik
- Leben & Wohnen
- Freizeit & Tourismus
Öffentliche Bekanntmachung
Bauleitplanung der Stadt Rotenburg a. d. Fulda;
Genehmigung der 108. Änderung des Flächennutzungsplans, Teil C
I. Das Regierungspräsidium Kassel hat mit Schreiben vom 24.11.2025, Geschäftszeichen 0030-21-061a10.03.18-00007#2025-00002, die 108. Änderung des Flächennutzungsplans genehmigt.
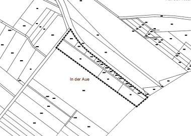
Betroffen sind in der Gemarkung Lispenhausen, Flur 9, Flurstück 16/1, 16/2, 16/3, 242/16, 320/16, 321/16, 322/16, 323/16, 324/16, 325/16, 327/16, 328/16, 329/16, 330/16, 331/16.

Grenze des räumlichen Geltungsbereichs
II. Es wird darauf hingewiesen, dass gem. § 215, Abs. 1, BauGB
- eine nach § 214, Abs. 1, Satz 1, Nr. 1 bis 3, BauGB beachtliche Verletzung der dort bezeichneten Verfahrens- und Formvorschriften,
- eine unter Berücksichtigung des § 214, Abs. 2, BauGB beachtliche Verletzung der Vorschriften über das Verhältnis des Bebauungsplanes und des Flächennutzungsplanes und
- nach § 214, Abs. 3, Satz 2, BauGB beachtliche Mängel des Abwägungsvorganges, unbeachtlich werden, wenn sie nicht innerhalb von zwei Jahren seit Bekanntmachung der 108. Änderung des Flächennutzungsplans schriftlich gegenüber der Stadt Rotenburg a. d. Fulda unter Darlegung des die Verletzung begründeten Sachverhalts geltend gemacht worden sind. Satz 1 gilt entsprechend, wenn Fehler nach § 214 Absatz 2a beachtlich sind.
III. Der Plan der 108. Änderung des Flächennutzungsplans wird mit der Begründung, Umweltbericht und zusammenfassender Erklärung zu jedermanns Einsichtnahme bereitgehalten und kann während der Dienststunden der Stadtverwaltung im Rathaus der Kernstadt Rotenburg a. d. Fulda, Marktplatz 14 (Bauen und Liegenschaften, Zimmer Nr. 302) in der Zeit von montags bis mittwochs zwischen 09.00 Uhr und 16.30 Uhr, donnerstags zwischen 09.00 Uhr und 18.00 Uhr und freitags zwischen 07.00 Uhr und 12.00 Uhr eingesehen und über deren Inhalt Auskunft verlangt werden.
Diese öffentliche Bekanntmachung ergeht aufgrund § 6 Abs. 5 BauGB in Verbindung mit § 8 der Hauptsatzung der Stadt Rotenburg a. d. Fulda.
Mit dieser Bekanntmachung wird die 108. Änderung des Flächennutzungsplans, Teil C der Stadt Rotenburg a. d. Fulda gemäß § 6 Abs. 5 BauGB wirksam.
Rotenburg a. d. Fulda, 27.11.2025
Der Magistrat
gez. Weber
Bürgermeister
Bekanntmachungsvermerk:
Die vorstehende öffentliche Bekanntmachung wurde am 08.12.2025 auf der Internetseite der Stadt Rotenburg a. d. Fulda unter www.rotenburg.de öffentlich bekanntgemacht.
